Auf dem Gelände eines zum Teil leerstehenden Einkaufszentrums im Oelder Ortsteil Stromberg sollen die planungs-rechtlichen Voraussetzungen für die Neuorganisation des Areals geschaffen werden. Hierfür muss, verbunden mit der 50. Änderung des Flächennutzungsplans, der Bebauungsplan Nr. 160 "Wohn- und Geschäftszentrum Oelder Tor" aufgestellt werden.
Am Donnerstag, den 27. April 2023, findet hierzu um 17:00 Uhr in der Alten Vikarie Stromberg, Münsterstraße 37, 59302 Oelde-Stromberg, eine Bürgerversammlung statt. Interessierte sind eingeladen, sich über das Vorhaben zu informieren, Fragen zu stellen sowie Hinweise und Anregungen zur Planung zu geben. Es besteht bis zum 14. Mai 2023 zudem die Möglichkeit, Anregungen in schriftlicher oder während der Öffnungszeiten der Stadtverwaltung auch in mündlicher Form bei der Stadt Oelde vorzutragen. Stellungnahmen können im genannten Zeitraum auch hier online abgegeben werden.
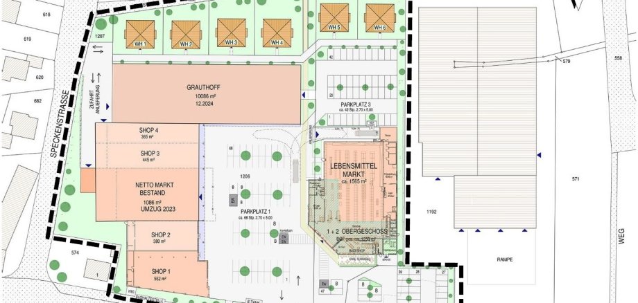
Ziel der Planungen für das Areal ist es, den Standort städtebaulich aufzuwerten und den Bestandsgebäuden neue Nutzungen zuzuordnen. Den Neubau und Umzug des Lebensmittelmarktes soll eine Aktivierung der bestehenden Gebäude für gewerbliche Nutzungen und Dienstleistungsangebote begleiten. Damit einhergehend ist auch eine Umgestaltung der bestehenden Stellplatzflächen verbunden. Zusätzlich soll die neue Nutzungsstruktur durch ergänzende Wohnbebauung begleitet werden. Für die Wohnnutzung ist der südliche Bereich des Plangebietes hinter den Bestandshallen vorgesehen.
